Wiadomości

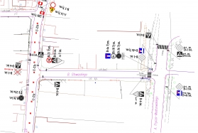
Uwaga! Zmiana organizacji ruchu etap III

calendar 30-05-2023
Uwaga! Zmiana organizacji ruchu etap III


WSTECZ

Brzeziny - 13 tysięczne dziś miasto, położone na wschód od Łodzi na obszarze wzniesień Łódzkich w dolinie rzeki Mrożycy posiada bogatą historię. Ze skromnej osady wiejskiej w XIII wieku przekształciło się w znaczący ośrodek miejski...

Więcej